Voto Salvato!
Lo vedrai solo tu
Commento salvato!
Aggiungi la tua valutazione e/o un commento per questo annuncio. Lo vedrai solo tu

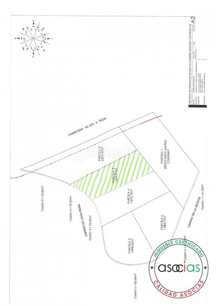
Terreno residenziale in Gijón - camino de casa mena 328 in Gijón

  • 1.850 m2
  • 86 €/m2

Venta de parcela en Gijón

Ponemos a la venta estupenda parcela llana y con una edificabilidad de 300m. Se encuentra situada en Cabueñes, en una zona muy tranquila de Gijón y con parada de autobús ( línea 25 ) a escasos metros. La parcela es llana, no necesita arreglar el terreno para realizar una casa , los alrededores de la parcela están todos asfaltados. Muy cercano tenemos la playa de la Ñora playa de San Lorenzo y el campo Municipal de golf La Llorea. Es un lugar ideal para construir una casa y vivir a escaso minutos del centro de Gijón. La parcela es de 1.849 m. Si sueña con vivir en el campo y a escasos metros de Gijón, esta es su oportunidad. Llámenos y le informaremos sobre ella.

ultima modifica

Distribuzione

  • Superficie 1850 m2
Annuncio: 30243000001819

Ubicazione

Cabueñes Gijón - Camino de Casa Mena 328

Naviga per la mappa cliccandoci sopra
Ti avvisiamo quando abbiamo un annuncio come questo? Crea il tuo avviso e noi ti avvertiremo per posta elettronica quando ci saranno annunci nuovi o se saranno modificati
 

Contatta Agencia Domingo

Codice rif. annuncio habitaclia/774139:

Vedrai il telefono dopo aver inviato il tuo contatto all’annunciante di modo che ti può rispondere.
Vedrai il telefono dopo aver stabilito il contatto
Inviando...