Voto Salvato!
Lo vedrai solo tu
Commento salvato!
Aggiungi la tua valutazione e/o un commento per questo annuncio. Lo vedrai solo tu
631.000 € Avvisami se diminuisce
è diminuito 70.000 €

Edificio in Centre Lloret de Mar

  • 387 m2
  • 3 bagni
  • 1.630 €/m2

NO COBRAMOS COMISIÓN DE INTERMEDIACIÓN AL COMPRADOR

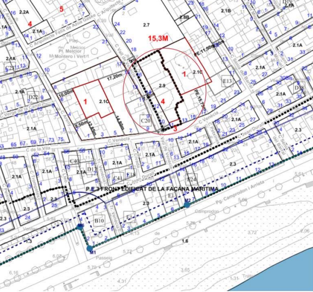
Presentamos un suelo urbano residencial consolidado ubicado en la calle Vall de Valencia, Lloret de Mar. Se trata de una parcela con edificación a demoler, ideal para un desarrollo residencial, dada su ubicación estratégica y su elevado potencial edificatorio.

-Clasificación urbanística: Suelo urbano consolidado.
-Usos compatibles: Residencial con 1509 m2 y Comercial (locales) con 450 m2.
-Densidad permitida: Desarrollo de hasta 24 viviendas.
-Referencia catastral: 7767216DG8176N0002HP.

Este terreno se encuentra en una de las áreas más atractivas de Lloret de Mar, a solo 3 minutos a pie de la playa, lo que lo convierte en un emplazamiento excepcional tanto para promociones residenciales como para desarrollos comerciales con alta demanda.

Su entorno consolidado garantiza excelentes comunicaciones con el centro urbano y la red de transporte público, además de una amplia oferta de servicios en las inmediaciones, incluyendo supermercados, restaurantes y comercios.

La promoción a desarrollar contará con un entorno privilegiado, combinando la tranquilidad de la zona con la proximidad a todos los servicios y equipamientos necesarios para garantizar una alta calidad de vida a sus futuros residentes.

Este suelo representa una oportunidad única para inversores y promotores inmobiliarios, permitiendo el desarrollo de un proyecto de gran rentabilidad en un destino de alta demanda turística y residencial.

Hipoges es una plataforma inmobiliaria donde podrás acceder a miles de activos inmobiliarios de diferentes tipos como viviendas, locales comerciales, terrenos, nueva obra... tanto a nivel particular como para inversores. Hipoges cuenta con una amplia cartera de activos inmuebles tanto en España como en Portugal y Grecia.



¿Necesitas financiación? Te ofrecemos la posibilidad de financiaciones de hasta el 100% para la compra de este inmueble. Entra en Finanwin.com, haz tu simulación y obtén la mejor oferta para tu Hipoteca de la manera más ágil y sencilla.

ultima modifica

Distribuzione

  • Superficie 387 m2

Caratteristiche Generali

  • Certificato energetico :
    Esente
Annuncio: 52792000007012

Ubicazione

Centre VALL DE VENECIA

Naviga per la mappa cliccandoci sopra
Ti avvisiamo quando abbiamo un annuncio come questo? Crea il tuo avviso e noi ti avvertiremo per posta elettronica quando ci saranno annunci nuovi o se saranno modificati
 

Contatta Hipoges

Codice rif. annuncio habitaclia/SBRE-0067304:

Vedrai il telefono dopo aver inviato il tuo contatto all’annunciante di modo che ti può rispondere.
Vedrai il telefono dopo aver stabilito il contatto
Inviando...