Voto Salvato!
Lo vedrai solo tu
Commento salvato!
Aggiungi la tua valutazione e/o un commento per questo annuncio. Lo vedrai solo tu
159.400 € Avvisami se diminuisce
è diminuito 700 €

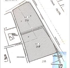
Fondo rustico in Beniaján Murcia

Sector ZT-BJ4 UA 1

  • 8.610 m2
  • 19 €/m2

Solvia Inmobiliaria Suelo urbanizable sectorizado Murcia

Suelo urbanizable sectorizado de 8610 m² en venta en la pedanía de Beniaján, Murcia.

Se trata de un suelo urbanizable sectorizado de 8610 m² que admite una edificabilidad aproximada de 4258 m²t. Tiene como uso principal el servicios. Su forma geométrica es irregular y la a topografía natural del terreno es ligeramente inclinada, sin problemas para la ejecución
cualquier tipo de construcción.
El suelo se sitúa a pocos minutos de la pedanía, teniendo buenos accesos por carretera.


Es, por tanto, una opción interesante para invertir dada las posibilidades que ofrece.

Con nuestros servicios podrá conocer las posibilidades reales de este suelo y valorar sus posibilidades de inversión. Empiece ahora mismo pidiendo más información. Un responsable cercano a usted le atenderá personalmente.

ultima modifica

Distribuzione

  • Superficie 8610 m2
Annuncio: 41124000082330

Ubicazione

Beniaján Sector ZT-BJ4 UA 1

Naviga per la mappa cliccandoci sopra
Ti avvisiamo quando abbiamo un annuncio come questo? Crea il tuo avviso e noi ti avvertiremo per posta elettronica quando ci saranno annunci nuovi o se saranno modificati
 

Contatta Solvia Inmobiliaria

Codice rif. annuncio habitaclia/KL-00518-0001:

Vedrai il telefono dopo aver inviato il tuo contatto all’annunciante di modo che ti può rispondere.
Vedrai il telefono dopo aver stabilito il contatto
Inviando...