Favorito y comentario
Lo vedrai solo tu
650.000 €
Avvisami se diminuisce
Fondo rustico in Ca n'Oriac Sabadell
Caratteristiche principali
- 330 m2
- 1.970 €/m2
Informazioni dettagliate
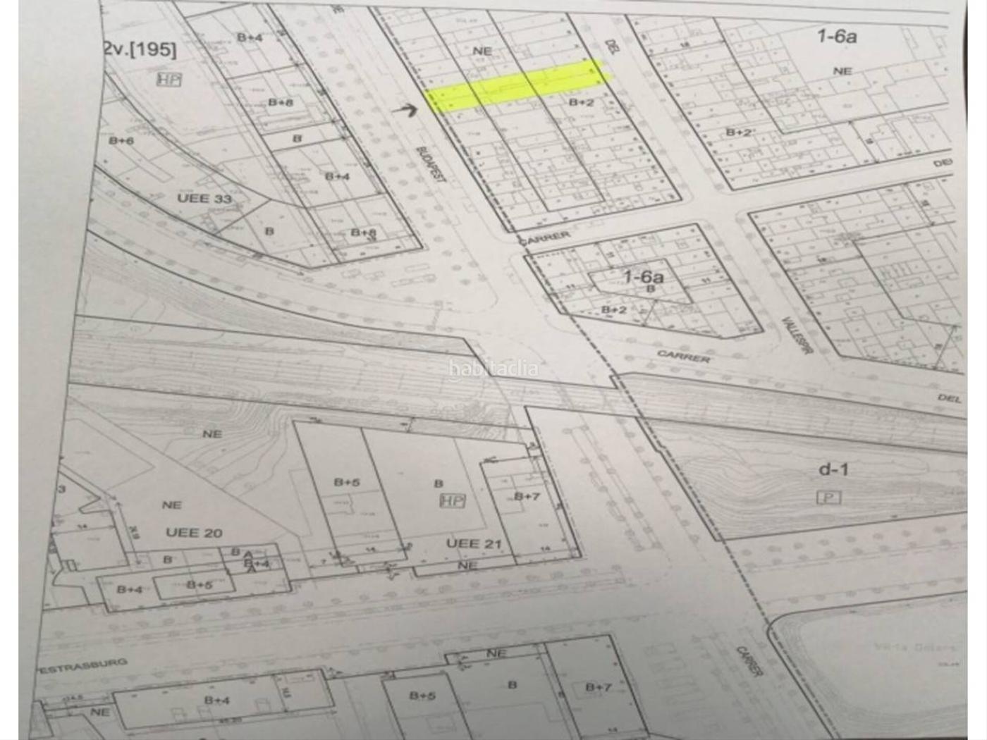
OPORTUNIDAD
Mis Finques comercializa la venta de 2 parcelas para edificar por 2 calles en bajos + 2.
810 m² de techo entre Can Llong y Can Oriac.
10 Metros de fachada en bajos + 2 y por 16 m² edificables.
10 Metros de fachada en bajos + 2 y 11 metros de profundidad edificable.
Total 810 m² de techo, solar de 330 m²
Llámenos y estaremos encantados de poder ayudarle
ultima modifica
Distribuzione
- Superficie 330 m2
Galleria
Ubicazione
Ca n'Oriac Vallespir
Naviga per la mappa cliccandoci sopra

habitaclia.com non si responsabilizza degli errori che l´informazione mostrata su questa mappa potrebbe contenere. L´utente sarà il responsabile dell´uso che farà della suddetta informazione.
Ti avvisiamo quando abbiamo un annuncio come questo?
Crea il tuo avviso e noi ti avvertiremo per posta elettronica quando ci saranno annunci nuovi o se saranno modificati