Favorito y comentario
Terreno residenziale in Casco Urbano Moraira
Caratteristiche principali
- 2.177 m2
- 367 €/m2
Informazioni dettagliate
Descubra una de las últimas parcelas disponibles en la prestigiosa zona de El Portet en Moraira. Este exclusivo terreno ofrece una privacidad inigualable y un entorno verde y exuberante, proporcionando un refugio sereno a tan solo un corto paseo de la playa y del encantador centro de Moraira.
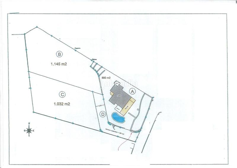
Esta propiedad versátil puede configurarse como una gran parcela de 2.177 m² o dividirse en dos parcelas separadas de 1.145 m² y 1.032 m², adaptándose a sus necesidades y visión específicas. Imagine construir su villa de ensueño aquí, con impresionantes vistas al mar que capturan e inspiran. La parcela cuenta con una excelente orientación solar, asegurando que su hogar esté bañado en luz natural durante todo el día.
Esta es una oportunidad única para construir una residencia a medida en una ubicación muy solicitada, combinando el lujo con la belleza de la naturaleza. No pierda la oportunidad de poseer un pedazo de paraíso en El Portet.
ultima modifica
Distribuzione
- Superficie 2177 m2
Galleria
Ubicazione
Casco Urbano
