Voto Salvato!
Lo vedrai solo tu
Commento salvato!
Aggiungi la tua valutazione e/o un commento per questo annuncio. Lo vedrai solo tu

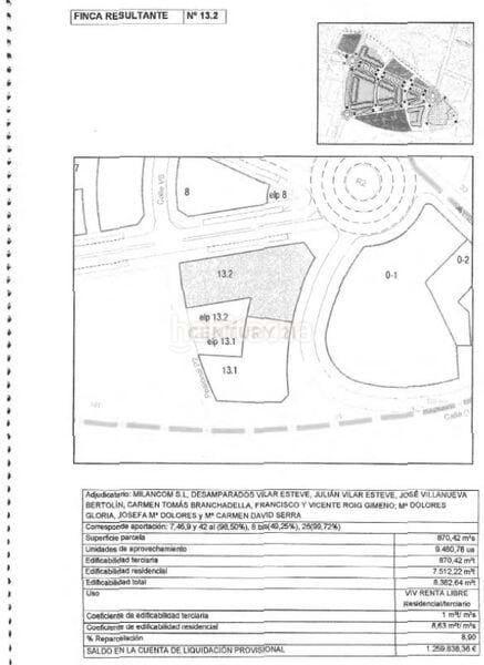
Terreno residenziale in Polígono del Aeropuerto Manises

  • 80 m2
  • 7.723 €/m2

¿Quieres comprar Suelo urbano en venta en Manises ? Excelente oportunidad de adquirir en propiedad este Suelo urbano, ubicado en Calle Montepio, en la localidad de Manises, provincia de Valencia/València. Dispone de buenos accesos y está bien comunicado. ¿Te gustaría tener más información? No dudes en ponerte en contacto con nosotros. Visita sin compromiso, sin comisiones de intermediación. Más información rellenando el formulario de contacto. Estaremos encantados de atenderte. Portal es una plataforma inmobiliaria donde podrás acceder a miles de activos inmobiliarios de diferentes tipos como viviendas, locales comerciales, terrenos, nueva obra... tanto a nivel particular como para inversores. Portal cuenta con una amplia cartera de activos inmuebles tanto en España como en Portugal y Grecia.

ultima modifica

Distribuzione

  • Superficie 80 m2
Annuncio: 34268000002217

Ubicazione

Polígono del Aeropuerto

Naviga per la mappa cliccandoci sopra
Ti avvisiamo quando abbiamo un annuncio come questo? Crea il tuo avviso e noi ti avvertiremo per posta elettronica quando ci saranno annunci nuovi o se saranno modificati
 

Contatta CENTURY 21 LIBERTY HOME

Codice rif. annuncio habitaclia/0099-SBRE-0124319:

Vedrai il telefono dopo aver inviato il tuo contatto all’annunciante di modo che ti può rispondere.
Vedrai il telefono dopo aver stabilito il contatto
Inviando...